Editor’s note: Â Weather can be and is being manipulated and even created. Think this “skeleton” image, with it being a few weeks away from Halloween, as well as the image being so dark anyway, is a coincidence? Think again. Â These folks leave their messages of “here we are” in all sorts of unusual and usual places. Â Be safe. Â And let us all focus on redirecting that storm back out to sea and visualize it dissipating. Â We have that power, after all. Â
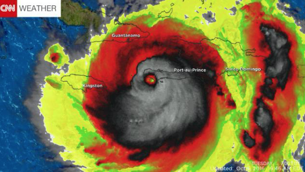
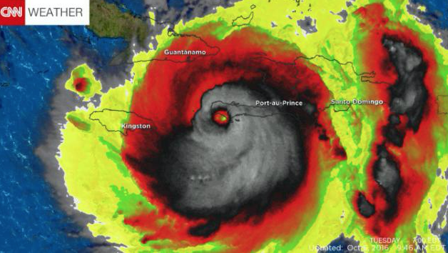
Just in time for Halloween. A spooky satellite image of Hurricane Matthew resembled a human skull, which, naturally, sent the internet into a frenzy.
The infrared image (captured by NASA) was shared on Twitter by the Weather Channel’s senior director of weather communications, Stu Ostro, as the devastating storm made landfall in Haiti Tuesday, October 4.
The post has since been retweeted more than 1,500 times, with many users freaking out over the devilish sight. “Good grief! Thats creepy!” one user wrote. Another added, “Looks like he was smiling for the photo shoot.. Creepy.”
NASA Earth Science Office’s Paul Meyer, an atmospheric scientist, told CNN that the sinister picture looks like a skull because of the way the colors have been tweaked to focus on the eye of the hurricane. The skull’s teeth are cold convective clouds, he told the news outlet Wednesday, October 5.
*****************************************************************
http://www.theeventchronicle.com
HAARP Status Network Showing Hurricane Sandy Values For Southeast Coast with a rare WHITE VALUE … a value meaning it is higher than the highest value we have.
With NOAA forecasting a direct hit on Florida we are seeing something completely different. A white value has been detected and reported along the Carolina coasts with South Carolina at the crosshairs.
Hurricane Matthew will make a strike on this if we are right.  Reports from Florida are indicating high values too .. .but nothing like South Carolina…
Be advised this will be updated in a day but this is the worst we have seen since Hurricane Sandy.
Get HAARP Alerts Here – http://www.haarpstatusnetwork.com/app-section-and-email-notification-section/Â
National Weather Alerts We Issued Here – http://www.nationalweatherforce.com/app-section-and-email-notification-section/Â
Southern California Weather Alerts We Issued Here – http://www.southerncaliforniaweatherforce.com/app-section-and-email-notification-section/
Source: HAARP Status Network

